Quick facts

Common names: bay willow, laurel willow

Scientific name: Salix pentandra

Family: Salicaceae

Origin: native

Bay willow was named because of the similarity of its leaves to the bay tree. Mature trees grow to 18m. The bark is dark grey in colour, with scaly, crossing ridges. Twigs are green-brown, glossy and smooth.

Look out for: the young leaves, which are sticky. Older leaves are shiny. Catkins appear after the leaves.

Identified in winter by: the green-brown, narrow buds which can be sticky.

What does bay willow look like?

Credit: Nature Photographers Ltd / WTML

Leaves

Oval leaves are thick, very glossy and dark green, measuring 5–12cm x 2–5cm, with finely serrated margins.

Credit: Nature Photographers Ltd / WTML

Flowers

Bay willow is dioecious, meaning that its male and female flowers – which emerge after the leaves in late spring – are produced on separate plants. Male catkins are yellow and female catkins are greenish.

Credit: Blickwinkel / Alamy Stock Photo

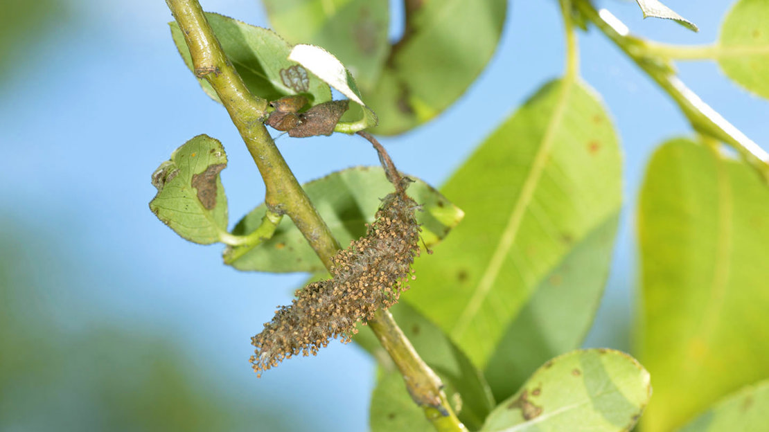
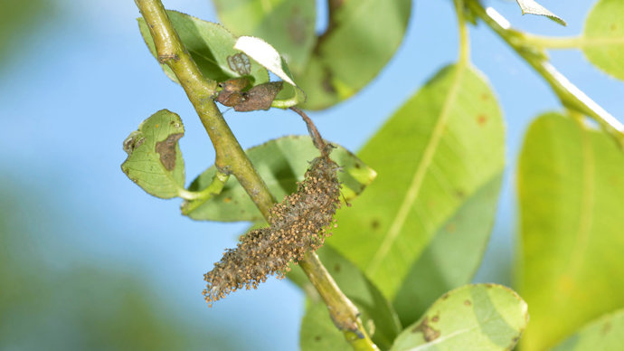
Fruits

After pollination by insects, female catkins develop into a fruit capsule which contains a number of tiny seeds embedded in white down, which aids dispersal by wind.

Not to be confused with:

Other willow species.

Trees woods and wildlife

Identify trees with our Tree ID app

Download our free Tree ID app for Android and iPhone to identify the UK's native and non-native trees. It's an A-Z tree guide in your pocket.

Where to find bay willow

The bay willow is native to northern Europe and northern Asia. In the UK it is mainly found in Scotland and the north of England, although occasionally it is planted as an ornamental tree in southern England. It favours damp situations, such as beside streams and rivers, wet woodland and boggy ground.

Value to wildlife

Caterpillars of a number of moth species feed on the foliage, including Ectoedemia intimella. The catkins provide an important source of early nectar and pollen for bees and other insects.

Mythology and symbolism

All willows were trees of celebration in biblical times, but this changed over time and today willows are more associated with sadness and mourning. In northern areas, willow branches are used instead of palm branches to celebrate Palm Sunday.

Did you know?

Willows so closely resemble poplars that they are thought to be descended from similar ancestors. In Shakespeare's Hamlet, Ophelia drowns after falling out of a willow tree.

Uses of bay willow

Traditionally, willows were used to relieve pain associated with a headache and toothache. The painkiller Aspirin is derived from salicin, a compound found in the bark of all Salix species. In medieval times in many parts of Europe, the bark was chewed to release the salicin for pain relief.

The bark was also boiled in water and the liquor drunk to relieve diarrhoea, help reduce joint inflammation in arthritis and as a gargle for sore throats. The liquor was also used to stop bleeding, clean wounds and to treat general aches and pains.

Blog

Foraging for natural Christmas decorations

Helen Keating  •  05 Dec 2022

Transform your home into a woodland wonderland this Christmas with our easy ideas for festive, foraged home decor. 

Threats and conservation

Like other willows, bay willow is susceptible to watermark disease caused by the bacteria Brenneria salicis. Over time, this leads to affected branches dying back and red leaves developing in other parts of the crown. If left untreated, the tree can die.